• $
  • £

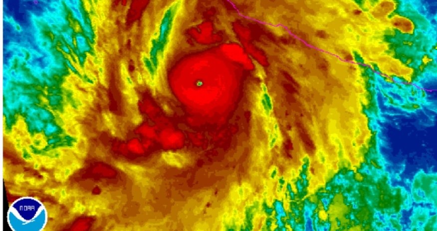
Hurricane Patricia 'potentially catastrophic' as it heads to Mexico

Hurricane Patricia 'potentially catastrophic' as it heads to Mexico
23.10.2015 23:30
Hurricane Patricia, churning toward southwestern Mexico, is a "potentially catastrophic hurricane," forecasters said after the storm increased in strength to Category 5.

"Satellite images indicate that maximum sustained winds have increased to near 160 mph (260 kph) with higher gusts," the National Hurricane Center said Thursday night.

Though it is expected to weaken Friday, it should make landfall on the Pacific coast near Punta San Telmo late in the day as an extremely dangerous storm.

"Preparations to protect life and property should be rushed to completion today," the center said.

As of late Thursday night, the storm was about 200 miles (320 kilometers) south of Manzanillo, Mexico, moving northwest at 10 mph (17 kph).

A hurricane warning is in effect on Mexico's Pacific Coast from San Blas to Punta San Telmo, an area that includes the resort cities of Puerto Vallarta and Manzanillo.

Officials in Jalisco and Colima states said they were canceling schools as the storm neared.

Patricia is expected to bring heavy rainfall, destructive waves and powerful winds, forecasters said.

(CNN)

www.ann.az
Similar news
Similar news
Hikmet Hajiyev: 421 people affected by landmines since patriotic war
Society 15:28
Hikmet Hajiyev: 421 people affected by landmines since patriotic war
Next resettlement to Zar village in Kalbajar planned
Society 15:00
Next resettlement to Zar village in Kalbajar planned
Azerbaijan police detain 45 suspects, solve 59 crimes in a day
Society 13:00
Azerbaijan police detain 45 suspects, solve 59 crimes in a day

ChatGPT lost over 16% of its market share in Azerbaijan in last 4 months
Society 18:00
ChatGPT lost over 16% of its market share in Azerbaijan in last 4 months
Iran executes man convicted of setting fire in military base in January protests
Society 17:00
Iran executes man convicted of setting fire in military base in January protests
Azerbaijan Clears Over 5,000 Mines and UXO in March 2026
Society 17:00
Azerbaijan Clears Over 5,000 Mines and UXO in March 2026
Azerbaijan: 4,576 Insurance Claims Recorded from March 20–30, Majority in Auto Sector
Society 16:00
Azerbaijan: 4,576 Insurance Claims Recorded from March 20–30, Majority in Auto Sector
Azerbaijan seizes 7.5 mln manats worth of contraband at border in March
Society 14:30
Azerbaijan seizes 7.5 mln manats worth of contraband at border in March
Heavy rains flood area around Baku school, parents call for urgent action
Society 12:29
Heavy rains flood area around Baku school, parents call for urgent action
Anews TV

Our official Youtube channel

Subscribe